Povolání Roberta Mitchella musí být jedno z nejnebezpečnějších, ale zároveň nejkrásnějších na světě. Tento pilot, který pracuje pro Národní úřad pro oceány a atmosféru (NOAA), totiž monitoruje data z bouří a tropických cyklón. Jeho současným úkolem je získávat data z nitra hurikánu Irma, do kterého tak společně se svým inženýrem záměrně nalétává. V rozhovoru popsal, co se mu při tom honí hlavou a proč je jeho práce důležitá pro miliony lidí.
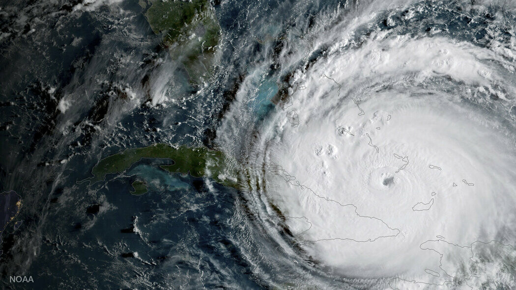
S tím, jak se slábnoucí hurikán Irma valí po pobřeží Floridy, je Mitchellův úkol ještě důležitější. Musí se totiž dostat do oka hurikánu, aby tam vypustil meteorologické sondy, které Úřadu pomáhají předpovídat další chování hurikánu – jeho sílu a předpokládaný směr.
Získaná data jsou životně důležitá – pomáhají rozhodnout, kdy a kterou oblast je třeba evakuovat, aby si bouře vyžádala co nejmenší následky.






